
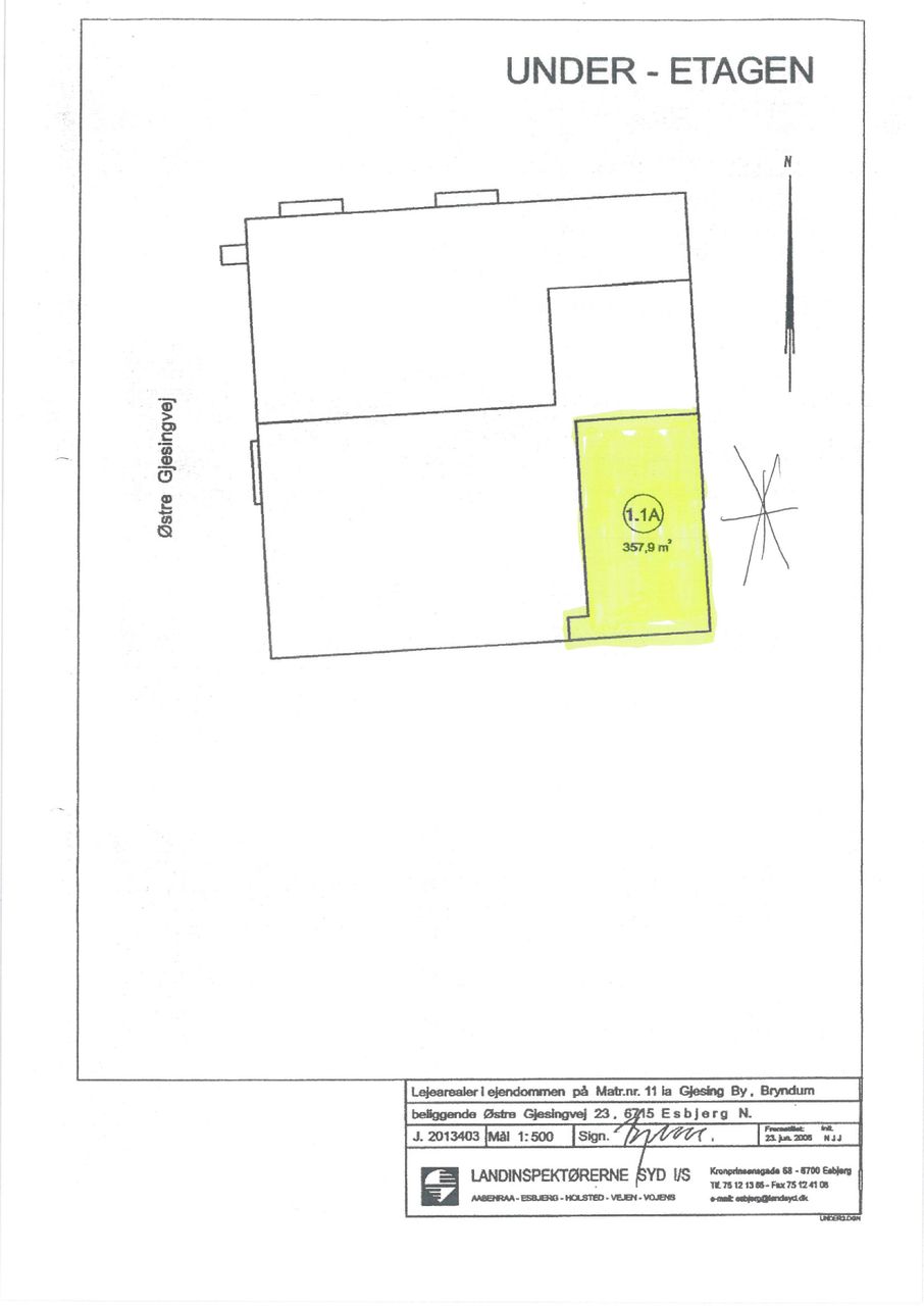
Østre Gjesingvej 23A
357,9 kvm lager/værksted/logistik/evt. butik/take away i City Nord, 6715 Esbjerg N
Beliggende i kælder/underetage på større butiksejendom, der bl a rummer Vordingborg-køkkenet, Invita,
Stof & Stil, Pet Worl m fl - lige ved siden af en række andre kendte butikker som Skousen, HTH,
El-Giganten, McDonalds, Silvan, Steff Byg, Ilva, Garant og over for Power, Bilka og Jensens Bøfhus. Tæt
på Esbjerg Storcenter.
Har hidtil været udlejet sammen med butikken i stueetagen, men har gode tilkørselsforhold på
bygningens østside med rampe, port ca 2,5 m bred og ca 3,0 m høj samt dør i gavlen. Fjernvarme
m/blæsere, rumbelysning, loftshøjde ca 3,5 m , betongulv, 2 toiletter, nødudgang.
Lejemålet er i dag uden vinduer og derfor et meget sikkert lager-lejemål, men der kan eventuelt også
mod et passende tillæg monteres vinduer, så der kan etableres kontor.
Velegnet til lager, logistik, veteran- eller liebhaverbiler, værksted og lager for håndværker, engroshandel,
klublokaler genbrugsbutik, take away el lign.
Bybus og tog til området.
Beliggende i kælder/underetage på større butiksejendom, der bl a rummer Vordingborg-køkkenet, Invita,
Stof & Stil, Pet Worl m fl - lige ved siden af en række andre kendte butikker som Skousen, HTH,
El-Giganten, McDonalds, Silvan, Steff Byg, Ilva, Garant og over for Power, Bilka og Jensens Bøfhus. Tæt
på Esbjerg Storcenter.
Har hidtil været udlejet sammen med butikken i stueetagen, men har gode tilkørselsforhold på
bygningens østside med rampe, port ca 2,5 m bred og ca 3,0 m høj samt dør i gavlen. Fjernvarme
m/blæsere, rumbelysning, loftshøjde ca 3,5 m , betongulv, 2 toiletter, nødudgang.
Lejemålet er i dag uden vinduer og derfor et meget sikkert lager-lejemål, men der kan eventuelt også
mod et passende tillæg monteres vinduer, så der kan etableres kontor.
Velegnet til lager, logistik, veteran- eller liebhaverbiler, værksted og lager for håndværker, engroshandel,
klublokaler genbrugsbutik, take away el lign.
Bybus og tog til området.
Økonomi
Leje pr. år
144.000 kr. Leje pr. m2 pr. år
132 kr.Forbrugsudgifter
13.200 kr.Depositum
30.000 kr.Forudbetalt leje
12.000 kr.Årlige driftsudgifter
1.200 kr.Moms
Ja
E. Dam Jensen www.edamjensen.dk
